Giá bán: 68.000.000.000 đ
Bán Nhanh Khách Sạn THập Nhất Phong Q6
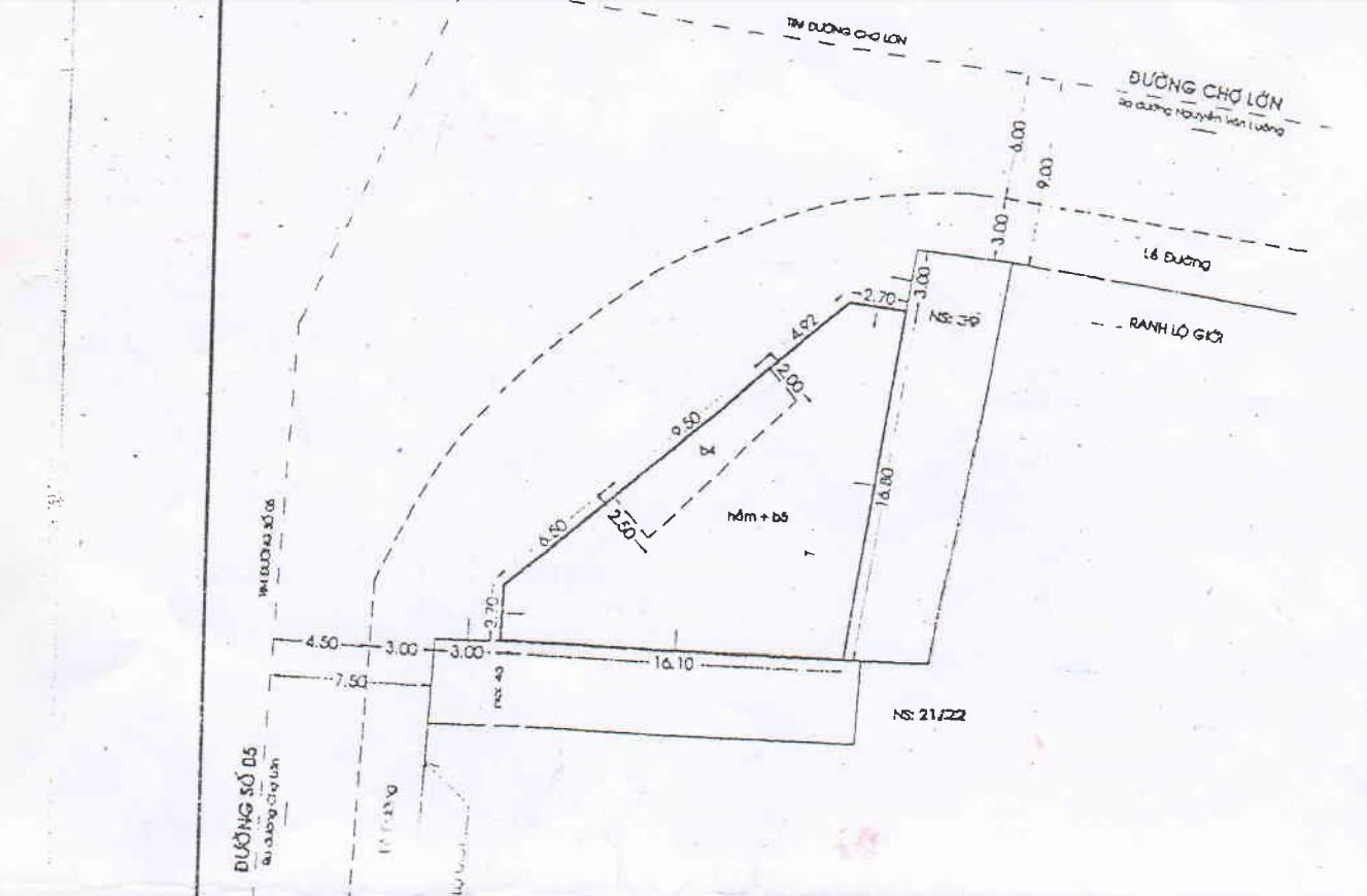
Tòa Nhà Góc 3 mặt tiền - số 41 Chợ Lớn Và Đường Số 5, P.11, Quận 6 ,
- Vị trí : ngay Nguyễn Văn Luông và Hậu Giang , giáp Quận 5.
- Diện tích : 180m2 ,
- Công nhận : 1000.5m2 ,
- Kết cấu : 1 hầm - 6 tầng - tổng 26 phòng ,
- Pháp lý cá nhân ,
- Giá bán: 68 tỷ
Liên hệ : Mai Hạnh : 0939 11 8655 (24/7)



Ý kiến bạn đọc